300 km/h Uragan Melissa protutnjao Karibima uzrokujući razaranje, smrt i poplave Svijet | prije 0 min. | 0
NALETI I DO 300 KM/H VIDEO / Uragan Melissa udario na Jamajku: Vlasti naredile evakuaciju za 28.000 ljudi, ali neki su odbili Svijet | 28. lis. | 0
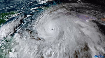
peta kategorija FOTO, VIDEO / Uragan Melissa je sada najsnažnija oluja na svijetu ove godine Svijet | 28. lis. | 0