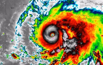
Važno upozorenje za Jamajku FOTO, VIDEO / Dolazi Melissa - jedan od najjačih uragana u povijesti, pripremaju se za najgore: "Osigurajte svoj dom" Svijet | prije 0 min. | 0
Popularni skladatelj stvorio je neke od najvećih simfonija, a najviše ga je nasmijavalo - ovo Showbiz | 10. sij. | 0
Koliko puta dnevno je normalno pustiti vjetar, a kad se treba javiti liječniku? Zdravlje | 1. ruj. | 0
Prirodni lijek za vjetrove: Kako se lagano riješiti ovog neugodnog problema? Lifestyle | 17. kol. | 0