
Hong Kong se u utorak priprema za supertajfun Ragasa, najsnažniji tropski tajfun na svijetu ove godine, zbog čega su škole zatvorene, a oko 700 letova otkazano.
Oglas
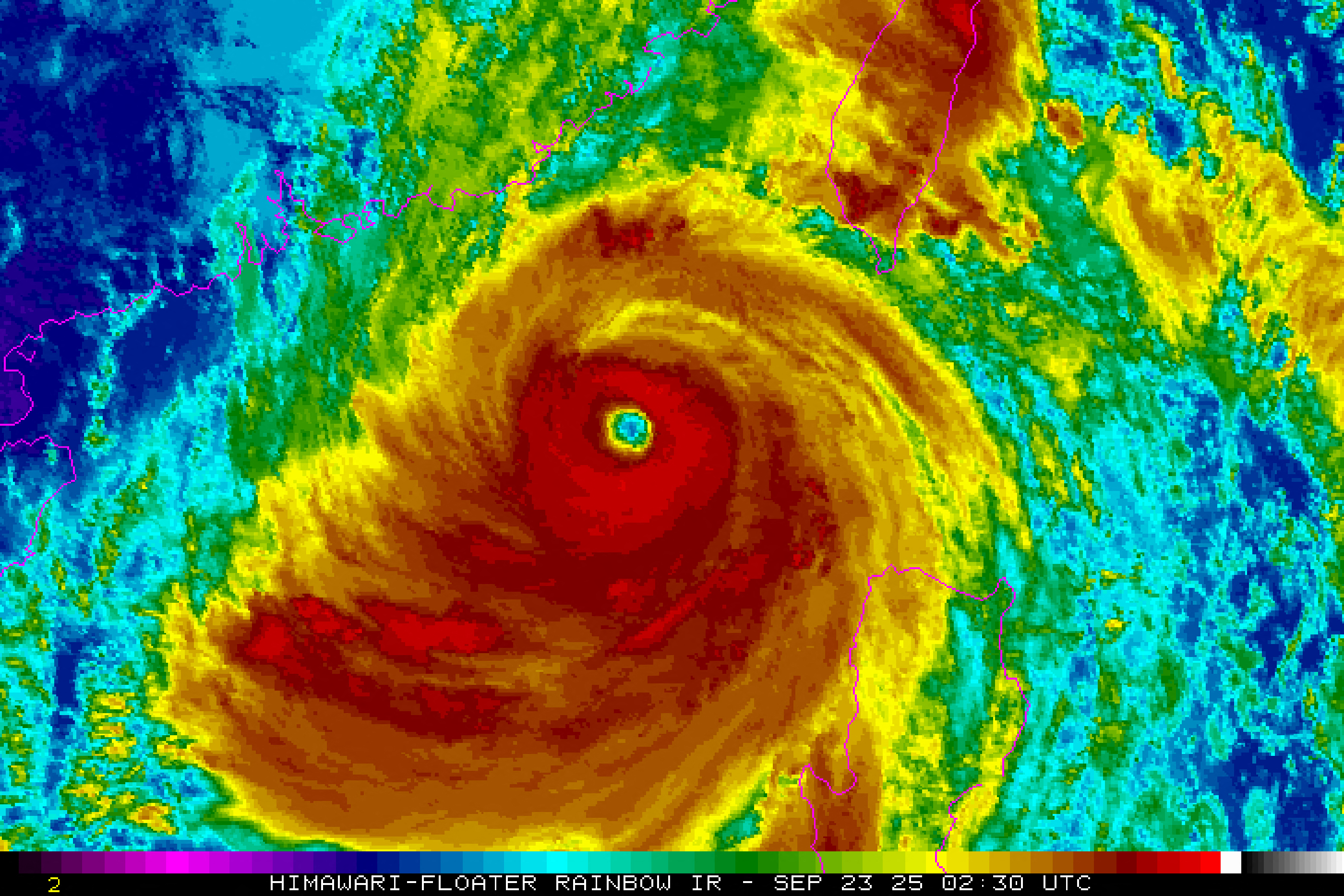
Ragasa, s vjetrovima do 220 km/h, približava se južnoj kineskoj pokrajini Guangdong, priopćio je Hongkonški opservatorij, koji planira podići signal tajfuna na razinu 8, treću najvišu. Očekuju se uraganski udari vjetra i obilne kiše, uz porast razine mora do pet metara, usporediv s razornim tajfunima Hato 2017. i Mangkhut 2018. godine.

Vlasti su stanovnicima podijelile vreće pijeska, a građani su stvarali zalihe hrane, zbog čega su se police u supermarketima brzo ispraznile, a cijene povrća naglo porasle. Hongkonška burza ostat će otvorena unatoč nevremenu.

Ragasa je u ponedjeljak pogodila sjeverne Filipine, gdje su vlasti stavile agencije u stanje pune pripravnosti. Kineske vlasti u Guangdongu i drugim južnim provincijama aktivirale su mjere zaštite od poplava, dok su Macau i Shenzhen zatvorili škole i pripremili skloništa. Tajvan je evakuirao više od 6000 ljudi s ugroženih područja.
Kakvo je tvoje mišljenje o ovome?
Pridruži se raspravi ili pročitaj komentare
Oglas
Kakvo je tvoje mišljenje o ovome?
Pridruži se raspravi ili pročitaj komentare
Oglas
NAJČITANIJE
Oglas
Oglas
Najnovije
Oglas
Oglas