peta kategorija
FOTO, VIDEO / Uragan Melissa je sada najsnažnija oluja na svijetu ove godine

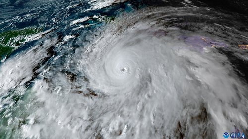
Troje ljudi već je poginulo na Jamajci dok se zemlja priprema za najjaču oluju na svijetu ove godine – i možda najsnažniju ikada zabilježenu na tom otoku – dok američki meteorolozi upozoravaju na „katastrofalne i po život opasne“ uvjete. S brzinama vjetra do 175 milja na sat (282 kilometra na sat), uragan Melissa je oluja pete kategorije – najviše moguće jačine. Oluja i dalje jača i očekuje se da će pogoditi karipski otok rano u utorak. Također se povezuje s četiri smrtna slučaja u Haitiju i Dominikanskoj Republici, uz one koji su već zabilježeni na Jamajci.
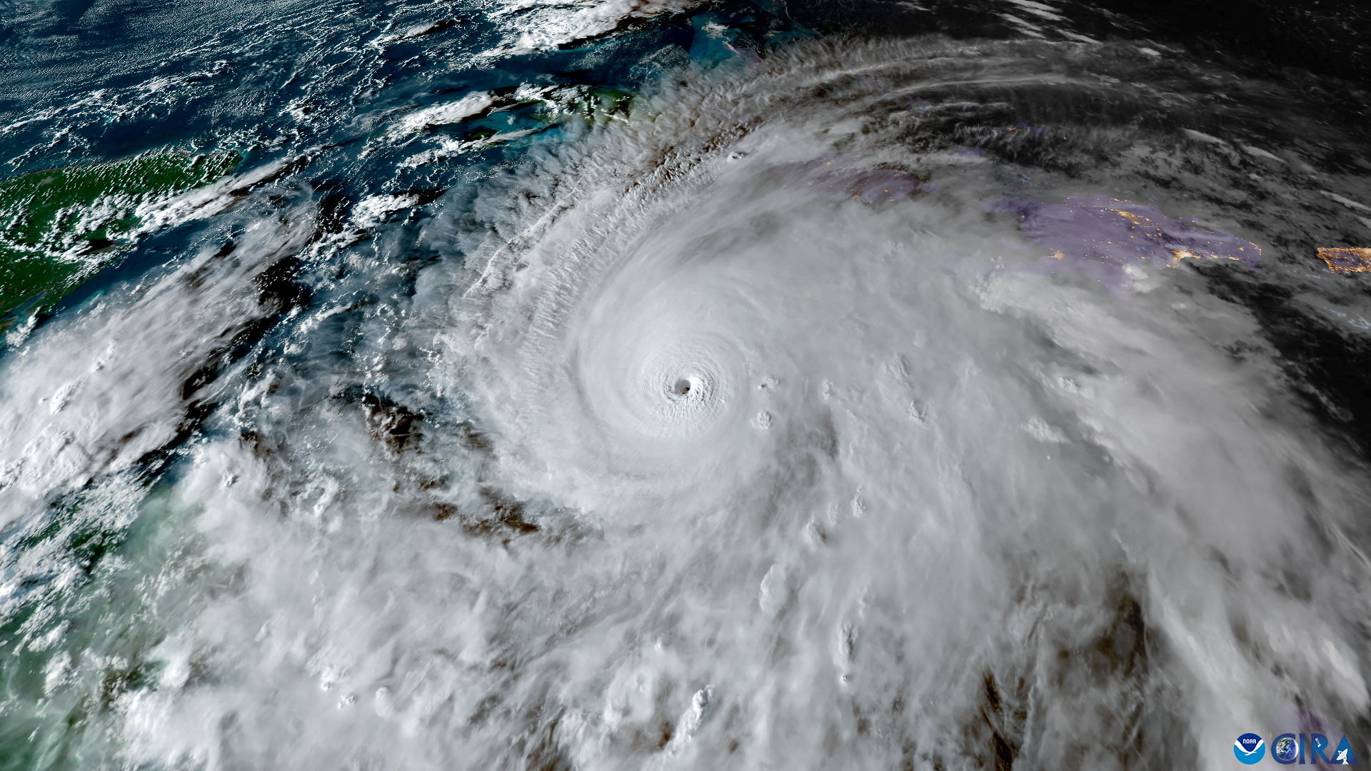
Do you see all that purple? That corresponds to incredibly cold cloud tops around minus-80 degrees Celsius (minus-112 degrees Fahrenheit). Clouds have to be about 52,000 feet tall (or greater) to be that cold.
— Matthew Cappucci (@MatthewCappucci) October 28, 2025
The fact that Melissa has such a tall, cold CDO, or Central Dense… pic.twitter.com/ilvNjhfmVc
Meteorolog i lovac na oluje Matthew Cappucci rekao je za BBC da će Melissa, uragan pete kategorije, biti najsnažniji koji je pogodio Jamajku otkako postoje zapisi.
Jedan uragan, Gilbert, 1981. godine usmrtio je 49 ljudi na Jamajci, a bio je treće kategorije kada je pogodio kopno, kaže Cappucci.
"Nitko na Jamajci nije doživio ništa usporedivo"
„Nitko na Jamajci nije doživio ništa usporedivo s onim što im sada dolazi“, rekao je Cappucci.
Dodaje i da se uragani pete kategorije doista javljaju, ali rijetko dosegnu kopno.
„Izuzetno je rijetko da uragan pete kategorije ima bilo kakav utjecaj bilo gdje na Zemlji.“
"Najjača oluja koja je pogodila Zemlju ove godine"
CNN javlja da je Melissa sada najjača oluja koja je pogodila Zemlju u 2025. godini.
LORD... this thing refuses to stop intensifying. I mean, meteorologically WOW. Hurricane Melissa now has 175 MPH sustained winds with wind gusts to 215 MPH. It probably will strengthen more overnight. There will be a path near the center of tornado like damage and near total… pic.twitter.com/UnETZlgfrx
— Noah Bergren (@NbergWX) October 28, 2025
Centar uragana pete kategorije nalazi se 145 milja jugozapadno od Kingstona na Jamajci, prema podacima iz 11:00 po istočnom vremenu. Melissa se počela okretati prema sjeveru, u smjeru Jamajke, i sada se kreće prema zapad-sjeverozapadu brzinom od 3 milje na sat.
Američko ratno zrakoplovstvo objavilo je snimku koja prikazuje kako je izgledalo kada je zrakoplov Hurricane Hunte“ jučer uletio u oko uragana Melisse. Posada je više puta proletjela kroz oluju kako bi prikupila meteorološke podatke.
Incredible footage from inside the eye of Category 5 Hurricane Melissa. Filmed during a reconnaissance flight by the US Air Force’s 53rd Weather Reconnaissance Squadron, the video reveals the sharply defined eyewall and the deceptive calm at the storm’s center; conditions that… pic.twitter.com/WCevRvU8wG
— AviatorsMaldives (@AviatorsMaldive) October 28, 2025
Premijer Jamajke: "Čini se da se cijeli svijet moli za Jamajku"
"Molim se na koljenima", rekao je premijer Jamajke Andrew Holness dodavši da je bio u kontaktu sa svjetskim čelnicima. "Čini se da se cijeli svijet moli za Jamajku", rekao je.
U ozbiljnom upozorenju stanovnicima Jamajke, Holness je izjavio da "ne postoji infrastruktura u regiji koja može izdržati uragan kategorije 5".
Kakvo je tvoje mišljenje o ovome?
Pridruži se raspravi ili pročitaj komentare