Uragan Irma prijeti SAD-u, vjetar jačine i do 300 km/h

author
N1 Info
06. ruj. 2017. 09:49
>
10:07
sdfsgfdgdhd
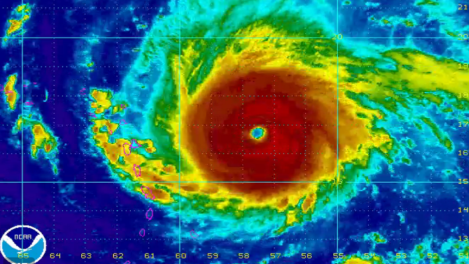
Twitter | Twitter

Razorni uragan pete kategorije prozvan Irma sve je bliže tlu SAD-a.

Irma je noćas prešla preko sjeveroistočnih Kariba i otoka Barbude i Antigue, a očekuje se da bi na kopno SAD-a mogla udariti tijekom vikenda. Prva država na udaru bila bi joj Florida.

Zbog toga je guverner Floride Rick Scott proglasio izvanredno stanje kako bi se lokalne zajednice na vrijeme pripremile za evakuaciju stanovništva. Iako bi evakuacija trebala početi tijekom srijede, već u utorak navečer neki stanovnici odlučili su napustiti područja na kojima se očekuje najjači udar uragana.

Na svom putu, prije nego pogodi Floridu, Irma bi trebla prijeći preko Puerto Rica, Dominikanske Republike, Haitija, Kube...

Irma je već sada najjači uragan ikad zabilježen izvan Kariba i Meksičkog zaljeva, s vjetrovima koji pušu brzinom od oko 300 kilometara na sat.

Iz centra za uragane poručuju kako se radi o uraganu pete kategorije koji može imati potencijalno katastrofalne posljedice, a da stvar bude još gora iza uragana Irme već se stvorila nova tropska oluja nazvana Jose koja je u kratkom vremenu ojačala na kategoriju 2.

https://twitter.com/NWSEastern/status/905190261931872260

N1 pratite putem aplikacija za Android | iPhone/iPad | Windows| i društvenih mreža Twitter | Facebook | Instagram.

Teme

Kakvo je tvoje mišljenje o ovome?

Pridruži se raspravi ili pročitaj komentare

Pratite nas na društvenim mrežama