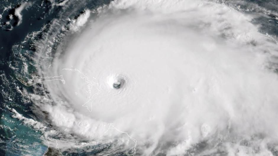
Uragan Dorian oslabio, nastavio se kretati prema američkoj obali

Nakon što je opustošio Bahame, uragan Dorian krenuo je prema američkoj obali. Iako je oslabio, nekoliko saveznih država evakuira milijun ljudi. Istovremeno na Bahmima broje poginule i strahuju da broj nije konačan.
Oglas
Teme
Kakvo je tvoje mišljenje o ovome?
Pridruži se raspravi ili pročitaj komentare
Oglas
Kakvo je tvoje mišljenje o ovome?
Pridruži se raspravi ili pročitaj komentare
Oglas
NAJČITANIJE
Oglas
Oglas
Najnovije
Oglas
Oglas